更换潜水证卡
帮助
帮助中心
常见问题解答
更换认证卡
消费者保护和通告
联系支持
简体中文
English
Nederlands
Français
Deutsch
Italiano
Español
日本語
한국어
繁體中文
简体中文
课程
开始潜水
开放水域潜水员
了解水肺潜水
了解详情
PADI 应用程序
电子认证卡、潜水日志、在线学习…丰富内容尽在其中
下载应用程序
继续学习
按兴趣浏览:
必修课程
环境保护
摄影
冷水潜水
安全
高级技能
探索
了解详情
成为专业人士
潜水大师
开放水域水肺潜水教练
专项教练
水肺潜水大师教练
IDC 员工教练
了解详情
特色课程
技术潜水
自由潜水
紧急救护
免费 – 水肺潜水在线介绍
查看所有课程
环境保护
海洋保护
我们的使命
合作伙伴
PADI 大使潜水员
了解详情
采取行动
加入保护运动
查找保护活动
查看所有可采取的行动
PADI AWARE
历史与影响
保护策略
捐赠
了解详情
保护计划
海洋垃圾
鲨鱼和鳐类保护
认领潜水点
了解详情
旅行
商店
认证卡
更换或更新您的卡片,购买 PADI 认证卡的特别版或 Project AWARE® 版本,或购买 PADI eCard™ 进行数字化。
换一张新卡
礼品指南
为您最喜爱的海洋爱好者和探险家送上完美的礼物。
现在送礼
会员资格
PADI 专业人士
过别人梦想的生活。分享您对潜水的热爱,体验新的探险,扩展您的潜水技能,帮助拯救海洋。
成为专业人士
开始免费潜水长计划
搜索潜水工作
开始您的职业之旅
潜水中心和度假村
优势
入门
业务级别
发布职位
成为 PADI 零售商或度假村
关于 PADI
PADI 与众不同
我们的历史
企业责任
在 PADI 工作
我们是谁
博客
寻找潜店
更换潜水证卡
帮助
简体中文
English
Nederlands
Français
Deutsch
Italiano
Español
日本語
한국어
繁體中文
简体中文
PADI 应用程序
电子认证卡、潜水日志、在线学习…丰富内容尽在其中
下载应用程序
PADI Adventures 应用程序
在线预约潜水
下载应用程序
取消
快速链接
学习潜水
开放水域潜水员课程
课程目录
高氧潜水
潜水大师
PADI
关于 PADI
购买认证卡
常见问题解答
认证卡常见问题
专业人士网站
...
/
潜水指南
欧洲
希腊
克里特岛
Chersonesos
Kori
Kori
显示所有1张照片
概览
探险
评价
概览
描述
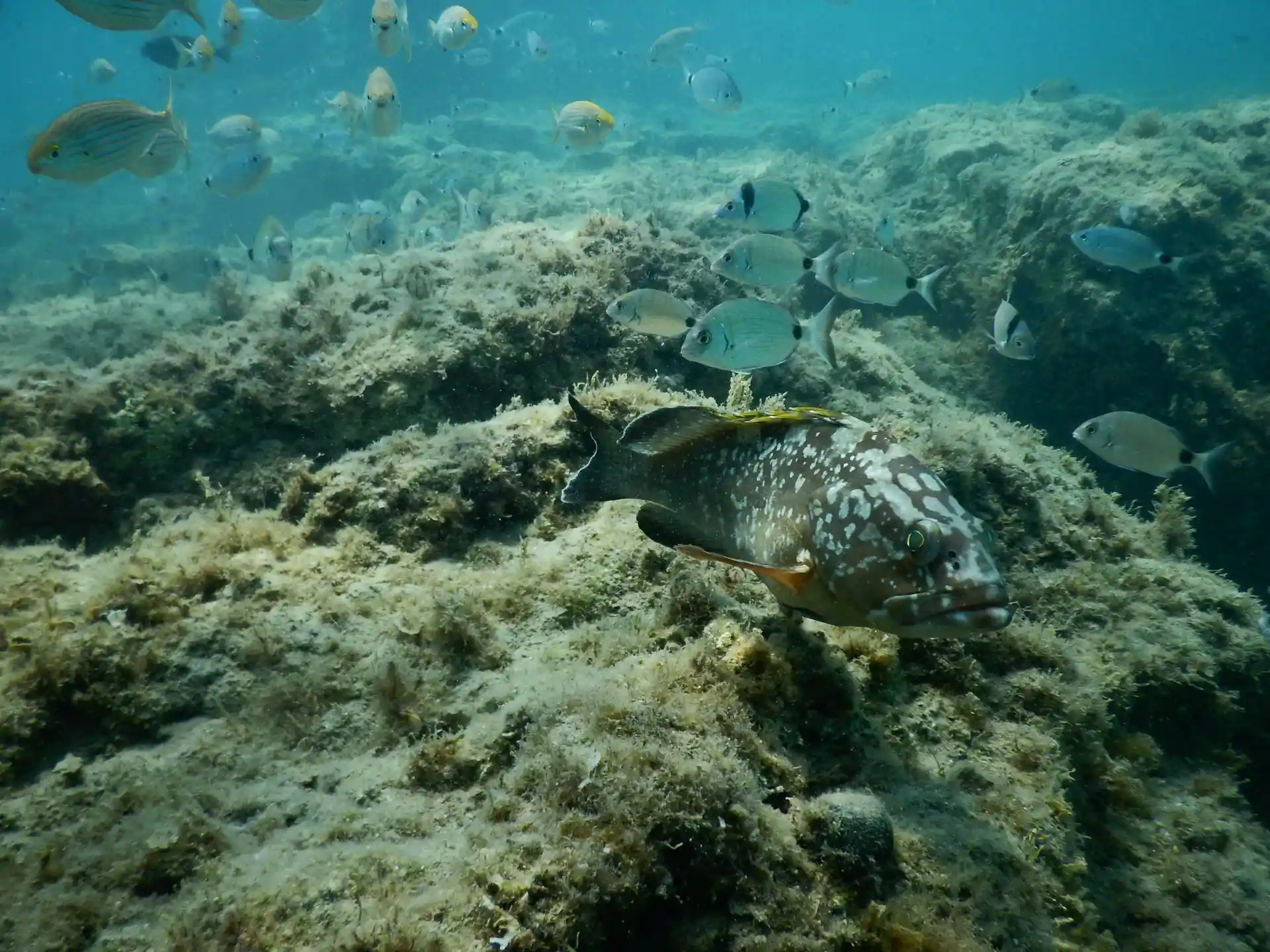
适合所有级别和体验的漂亮珊瑚礁。底部由沙子和岩石组成,有趣的岩线形成了场地的路线。
翻译来自
位置
35.32978, 25.38871
获取路线
相关培训
PADI Open Water Diver
潜水类型
礁区潜水
建议装备
湿式潜水服,
潜水靴,
短款潜水服
入水
船潜
常见生物
石斑鱼,
鹦鹉鱼,
Moray eel,
章鱼,
Reef fish ( Scorpionfish, boxfish,puffer fish, surgeonfish, angelfish, bannerfish, triggerfish, parrotfish, trumpetfish, pipefish, clown fish, sweetlips, snaper, grouper, lionfish etc),
Amberjack
水类型
海水
入水
船潜
海岸/海滩
常见生物
鲨鱼、鲸鱼、海豚、海龟
水类型
海水
阅读更多
在此潜水
附近所有潜店
学习潜水
选择我们的初学者课程开始在线学习,或者选择该潜水点的推荐课程,拓展您的技能。
立即了解
在当地 PADI 潜店预订您的活动
评价
附近的其他潜水点
克里特岛所有潜水点
广告
不同大陆的潜水体验
中东及红海
中美洲
亚洲
加勒比海
北美洲
南美洲
印度洋
太平洋
欧洲
非洲
世界各地目的地
North Macedonia
Thailand
东帝汶
中国
中非共和国
丹麦
乌克兰
乌干达
乌拉圭
乍得
也门
亚美尼亚
伊拉克
伯利兹
佛得角
保加利亚
克罗地亚
关岛
冈比亚
冰岛
几内亚
几内亚比绍
列支敦士登
刚果
查看所有国家/地区
*
通过访问此页面,您承认并同意所显示的信息是由一个或多个第三方提供的。提供此内容仅供一般参考之用,并不构成建议或招揽进行任何类型的购买或决定。 PADI 不保证或保证此类信息的准确性或完整性,PADI 也不能保证此类内容不包含您可能认为令人反感或其他方面的材料。 PADI 提醒您遵守 PADI 安全潜水标准,并建议您在潜水前咨询熟悉该地点及其现状的潜水专业人士。 PADI 不会也无法审查此平台上的所有内容,因此不承担与您访问或使用此第三方内容相关的任何责任或义务,并且在任何情况下,PADI都不会对因依赖该信息而造成的任何损失或直接、间接、附带、特殊或后果性损害负责。
x
保存最喜欢的
使用 PADI Travel 帐户,您可以在任何设备或电脑上找到您最喜欢的潜水运营商
登录或注册